HOME-Au
HOME-Au
24h
24h
USA
USA
GOP
GOP
Phim Bộ
Phim Bộ
Videoauto
VIDEO-Au
Home Classic
Home Classic
Donation
Donation
News Book
News Book
News 50
News 50
worldautoscroll
WORLD-Au
Breaking
Breaking
 

Go Back   VietBF > World Box| Thế Giới > World News|Tin Thế Giới > World News |Tin Thế Giới 2021-2023


 
 
Thread Tools
  #1  
Old  Default Cả hai nửa bán cầu đều bị bão lớn hoành hành
Bão lớn hoành hành hai nửa bán cầu. Trong khi châu Á đối phó với bão Noru, người dân Mỹ và các đảo quốc vùng Caribe cũng đang gia cố nhà cửa và tích trữ nhu yếu phẩm trước khi bão Ian quét qua.



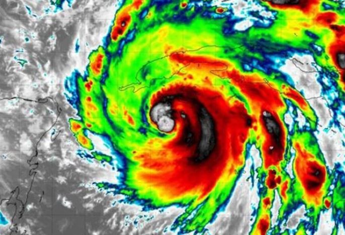
Tâm bão Ian áp sát lãnh thổ Cuba, sáng 27/9 (giờ Việt Nam). Ảnh: Prensa Latina.
Hôm 26/9, giới chức Cuba đã tuyên bố đặt các tỉnh miền Tây đất nước - Pinar del Río, Artemisa, La Habana, Mayabeque, Matanzas, Cienfuegos và đảo Juventud - vào tình trạng báo động khi cơn bão Ian đến gần, Prensa Latina cho biết.

Cùng ngày, ở nửa kia địa cầu, bão Noru quét qua lãnh thổ Philippines để tiến vào Biển Đông, để lại đằng sau cảnh tàn phá và lũ lụt.

Trước tình trạng biến đổi khí hậu ngày một nghiêm trọng, các hiện tượng thời tiết cực đoan như siêu bão được cho là sẽ xuất hiện với tần suất ngày một dày đặc, đe dọa trực tiếp đến cuộc sống của hàng trăm triệu người dân trên khắp thế giới.

Châu Á gồng mình
Sáng 26/9, Tổng thống Philippines Ferdinand Marcos Jr. thị sát các vùng bị ảnh hưởng bởi bão Noru bằng máy bay.

“Chúng tôi thấy một số khu vực vẫn chìm trong biển nước”, ông viết trên Twitter. “Tỉnh Nueva Ecija và Aurora không có điện. Chúng tôi đang gửi các máy phát điện tới”.

Tuy đã chuẩn bị trước, Philippines vẫn chịu thiệt hại khi siêu bão Noru quét qua phía Bắc đảo Luzon. Tại tỉnh Bulacan, năm nhân viên cứu hộ thiệt mạng khi xuồng bị lật và hất họ xuống dòng nước lũ, Thống đốc Daniel Fernando cho biết.

Những hình ảnh từ hiện trường cũng cho thấy nhiều người dân phải lên mái nhà tránh lũ khi mực nước dâng cao. Ruộng đồng của người dân ngập trắng nước, trong khi tình trạng lở đất cũng được ghi nhận ở vùng núi.

“Đây là trận lũ lớn nhất từng xảy ra ở đây”, ông Elpidio de la Cruz, một cư dân địa phương, chia sẻ với Reuters. Mực nước trước của nhà ông ngập đến đầu gối. “Có lúc nước đã chạm đến tầng hai”, ông cho biết.

Nhiều khu vực tại Philippines rơi vào cảnh ngập lụt do bão Noru. Ảnh: Reuters.
Ông Teody Simbulan, một cư dân khác, cầu cứu. “Người dân ở đây cần sự hỗ trợ như thức ăn, nước uống và thuốc men”, ông nói.

Noru được coi là cơn bão mạnh nhất mà Philippines phải đối phó trong năm nay. Dù vậy, đây chưa phải cơn bão có cường độ lớn nhất từ Thái Bình Dương đổ vào châu Á trong mùa bão này.

Khu vực Đông Bắc Á vừa hứng chịu hai cơn bão lớn - Hinnamnor và Nanmadol - khiến hơn 10 người thiệt mạng, hàng trăm chuyến bay bị hủy bỏ và hàng triệu người phải sơ tán. Trong đó, Hinnamnor được coi là siêu bão mạnh nhất toàn cầu năm 2022 với sức gió có thời điểm vượt 250 km/h.

Khi bão Hinnamnor quét qua Hàn Quốc, lực lượng chức năng đã tìm thấy 7 thi thể dưới hầm gửi xe trong một tổ hợp căn hộ ở thành phố Pohang, cơ quan ứng phó thiên tai Hàn Quốc cho biết. Theo truyền thông địa phương, 9 người này bị mắc kẹt khi xuống hầm để đưa ôtô ra ngoài khi mưa lớn.

Trong khi đó, bão Nanmadol đã khiến bốn người Nhật Bản thiệt mạng, bất chấp giới chức nước này trước đó kêu gọi sơ tán khoảng 2,9 triệu cư dân ở đảo Kyushu, cũng như đưa ra mức cảnh báo cao nhất đối với tỉnh Kagoshima.

Ít nhất 114 người khác cũng bị thương - bao gồm 14 người bị thương nặng, theo Chánh Văn phòng Nội các Nhật Bản Matsuno Hirokazu.

Châu Mỹ chuẩn bị
Cách châu Á nửa vòng Trái Đất, Cuba, Mỹ và một số quốc gia vùng Caribe đang phải chuẩn bị đối phó với bão Ian. Đây là cơn bão thứ 9 xuất hiện tại Đại Tây Dương trong mùa bão năm nay.

Hình thành hôm 23/9 ở vùng biển Tây Nam Cuba, bão Ian dần mạnh lên khi di chuyển về phía Tây Bắc tới khu vực phía Tây hòn đảo này.

Ngày 26/9, Viện Khí tượng Cuba và Trung tâm Bão Quốc gia Mỹ (NHC) cho biết Ian đã trở thành một cơn bão lớn (hurricane) - thuật ngữ để chỉ những cơn bão nhiệt đới có tốc độ gió trên 74 dặm/h (khoảng 119 km/h). Vận tốc gió được ghi nhận vào rạng sáng 26/9 (giờ địa phương) là khoảng 120 km/h.

Hôm 25/9, các du khách ở đảo Juventud và khu du lịch trên đảo Cayo Largo đã được sơ tán. Các cảng ở miền Tây Cuba đã không cho tàu thuyền ra khơi từ tối 23/9, trong khi ngư dân được kêu gọi quay về bờ.

Đường đi dự kiến của bão Ian. Ảnh: NHC/NPR.
Bên cạnh Cuba, bang Florida (Mỹ) cũng đang phải chuẩn bị đón bão. Thống đốc Ron DeSantis hôm 25/9 đã tuyên bố tình trạng khẩn cấp toàn bang, cũng như thúc giục người dân tích trữ thực phẩm, nước uống, thuốc men, xăng dầu và sẵn sàng trước khả năng bị cắt điện.

2.500 binh sĩ thuộc lực lượng Vệ binh Quốc gia bang Florida đã được huy động để đối phó vụ việc, AFP cho biết. Giới chức nhiều thành phố Florida - bao gồm Miami, Fort Lauderdale và Tampa - đã phân phát bao cát miễn phí để giúp người dân đối phó nguy cơ lũ lụt. Trong khi đó, Tổng thống Joe Biden đã thông qua gói viện trợ khẩn cấp cho 24 hạt tại Florida.

Khi đổ bộ vào Florida, bão có thể mạnh tới cấp độ 4 theo thang đo Saffir-Simpson với sức gió lên đến 225 km/h, AP cho biết.

Trong khi đó, vùng biển Caribe và miền Đông Canada vẫn đang trong quá trình khắc phục hậu quả của cơn bão Fiona quét qua khu vực hồi tuần trước.

Hình thành từ giữa Đại Tây Dương, bão Fiona di chuyển theo hướng tây và quét qua hàng loạt quốc đảo vùng Caribe, trước khi đổi hướng đi lên phía bắc để đổ bộ vào vùng ven biển Đông Canada. Đây là cơn bão lớn đầu tiên trong mùa bão Đại Tây Dương năm nay, có sức gió mạnh nhất lên đến 215 km/h.

Cơn bão đã khiến ít nhất bảy người ở vùng Caribe và hai người Canada thiệt mạng, AFP đưa tin.

“Sự tàn phá là rất lớn”, Thủ hiến tỉnh Nova Scotia (Canada) Tim Houston nói với báo giới. “Cường độ của cơn bão là không thể tưởng tượng”.

VietBF@ sưu tập
VIETBF Diễn Đàn Hay Nhất Của Người Việt Nam

HOT NEWS 24h

HOT 3 Days

NEWS 3 Days

HOT 7 Days

NEWS 7 Days

HOME

Breaking News

VietOversea

World News

Business News

Car News

Computer News

Game News

USA News

Mobile News

Music News

Movies News

History

Thơ Ca

Sport News

Stranger Stories

Comedy Stories

Cooking Chat

Nice Pictures

Fashion

School

Travelling

Funny Videos

Canada Tin Hay

USA Tin Hay

VietBF Homepage Autoscroll

VietBF Video Autoscroll Portal

Home Classic

Home Classic Master Page



pizza
R11 Tuyệt Thế Thiên Hạ
Release: 09-27-2022
Reputation: 237144


Profile:
Join Date: Sep 2014
Posts: 106,637
Last Update: None Rating: None
Attached Thumbnails
Click image for larger version

Name:	361.JPG
Views:	0
Size:	80.5 KB
ID:	2117337   Click image for larger version

Name:	362.JPG
Views:	0
Size:	87.5 KB
ID:	2117338   Click image for larger version

Name:	363.JPG
Views:	0
Size:	49.7 KB
ID:	2117339  

pizza_is_offline
Thanks: 7
Thanked 8,101 Times in 7,211 Posts
Mentioned: 6 Post(s)
Tagged: 0 Thread(s)
Quoted: 41 Post(s)
Rep Power: 129
pizza Reputation Uy Tín Level 10pizza Reputation Uy Tín Level 10pizza Reputation Uy Tín Level 10pizza Reputation Uy Tín Level 10pizza Reputation Uy Tín Level 10pizza Reputation Uy Tín Level 10pizza Reputation Uy Tín Level 10
pizza Reputation Uy Tín Level 10pizza Reputation Uy Tín Level 10pizza Reputation Uy Tín Level 10pizza Reputation Uy Tín Level 10pizza Reputation Uy Tín Level 10pizza Reputation Uy Tín Level 10pizza Reputation Uy Tín Level 10pizza Reputation Uy Tín Level 10pizza Reputation Uy Tín Level 10pizza Reputation Uy Tín Level 10pizza Reputation Uy Tín Level 10pizza Reputation Uy Tín Level 10pizza Reputation Uy Tín Level 10pizza Reputation Uy Tín Level 10pizza Reputation Uy Tín Level 10pizza Reputation Uy Tín Level 10pizza Reputation Uy Tín Level 10pizza Reputation Uy Tín Level 10pizza Reputation Uy Tín Level 10pizza Reputation Uy Tín Level 10pizza Reputation Uy Tín Level 10pizza Reputation Uy Tín Level 10
 
User Tag List


Bài học Nokia giữa mùa đông Phần Lan: Thua từ bên trong trước khi thua thị trường Liuzhi – Bóng tối mới phủ xuống giới doanh nhân Trung Quốc 5 tiểu bang vàng cho nghề nail – hair – spa của người Việt tại Mỹ
Phố Tây Bùi Viện náo nhiệt và bóng dáng nhà canh tân cuối thế kỷ XIX Từ mafia thuốc lá đến tú bà Chemnitz: Vết nhơ kéo dài của một bộ phận người Việt Đông Đức Khi xe Trung Quốc viết lại trật tự ngành ô tô thế giới
Dự luật ‘một quốc tịch Mỹ’: ồn ào trên mặt báo, nhưng rất khó thành hiện thực Netflix nuốt chửng Warner Bros: Địa chấn 72 tỷ đô làm rung chuyển Hollywood Apple rung chuyển: Lãnh đạo lần lượt ra đi, Tim Cook trước cơn bão AI
Kế hoạch y tế mới của Trump: Chưa kịp ra mắt đã vỡ trận ngay trong nội bộ Cộng Hòa Cuộc trả thù chính trị của Trump: Từ vụ Comey, Letitia James đến đòn nhắm vào Mark Kelly Cơn say trên mây: Ai chịu trách nhiệm về hành khách nhậu nhẹt trên máy bay?
Giáng Sinh thắt lưng buộc bụng mà vẫn đủ ấm và đủ vui Mùa mua sắm Giáng Sinh 2025: Kinh tế chữ K và ảo giác “chi tiêu vẫn tăng” DOGE – thí nghiệm quyền lực thất bại của Trump và Musk
Ukraine, Trump và bản hòa ước mong manh giữa tiếng drone gầm rú Dũng Taylor: Căng thẳng đỉnh điểm giữa người Việt MAGA và người Việt Dân Chủ Hùng Cao về thăm Việt Nam: Từ đứa bé tị nạn đến kiến trúc sư an ninh Thái Bình Dương
“Ngày Tri Ân Trump” ở Little Saigon: khi tượng đài chiến sĩ bị biến thành sân khấu chính trị “Giải thưởng Neville Chamberlain” cho Trump và bản thỏa thuận 28 điểm bẩn thỉu Biển lửa Hồng Kông: giàn giáo tre bốc cháy, chung cư Tai Po hóa địa ngục giữa trời
Từ iPod đến “Delete Day”: Hành trình Gabriela Nguyễn thoát khỏi cơn nghiện mạng xã hội “Cha già dân tộc” đã khép lại: khi thần tượng chính trị bị kéo xuống mặt đất DOGE đã chết: “cải cách” 135 tỷ đô la đốt sạch tiền thuế của người Mỹ
VinFast VF 8 ở Mỹ: từ cáo buộc “sạc rùa bò” đến nguy cơ mất lái và lệnh triệu hồi hàng loạt Trump, Putin và ván cờ hòa bình Ukraine: khi “hạn chót” chỉ còn là lời nói gió bay 1.000 tỷ USD bốc hơi: Bitcoin bước vào thời kỳ ‘dành cho người thường’ và cơn say tiền số tan vỡ

 
Lên đầu Xuống dưới Lên 3000px Xuống 3000px

iPad Videos Portal Autoscroll

VietBF Music Portal Autoscroll

iPad News Portal Autoscroll

VietBF Homepage Autoscroll

VietBF Video Autoscroll Portal

USA News Autoscroll Portall

VietBF WORLD Autoscroll Portal

Home Classic

Super Widescreen

iPad World Portal Autoscroll

iPad USA Portal Autoscroll

Phim Bộ Online

Tin nóng nhất 24h qua

Tin nóng nhất 3 ngày qua

Tin nóng nhất 7 ngày qua

Tin nóng nhất 30 ngày qua

Albums

Total Videos Online
Lên đầu Xuống dưới Lên 3000px Xuống 3000px

Tranh luận sôi nổi nhất 7 ngày qua

Tranh luận sôi nổi nhất 14 ngày qua

Tranh luận sôi nổi nhất 30 ngày qua

10.000 Tin mới nhất

Tin tức Hoa Kỳ

Tin tức Công nghệ
Lên đầu Xuống dưới Lên 3000px Xuống 3000px

Super News

School Cooking Traveling Portal

Enter Portal

Series Shows and Movies Online

Home Classic Master Page

Donation Ủng hộ $3 cho VietBF
Lên đầu Xuống dưới Lên 3000px Xuống 3000px
Diễn Đàn Người Việt Hải Ngoại. Tự do ngôn luận, an toàn và uy tín. Vì một tương lai tươi đẹp cho các thế hệ Việt Nam hãy ghé thăm chúng tôi, hãy tâm sự với chúng tôi mỗi ngày, mỗi giờ và mỗi giây phút có thể. VietBF.Com Xin cám ơn các bạn, chúc tất cả các bạn vui vẻ và gặp nhiều may mắn.
Welcome to Vietnamese American Community, Vietnamese European, Canadian, Australian Forum, Vietnamese Overseas Forum. Freedom of speech, safety and prestige. For a beautiful future for Vietnamese generations, please visit us, talk to us every day, every hour and every moment possible. VietBF.Com Thank you all and good luck.

Lên đầu Xuống dưới Lên 3000px Xuống 3000px

All times are GMT. The time now is 13:19.
VietBF - Vietnamese Best Forum Copyright ©2005 - 2025
User Alert System provided by Advanced User Tagging (Pro) - vBulletin Mods & Addons Copyright © 2025 DragonByte Technologies Ltd.
Log Out Unregistered

Page generated in 0.13184 seconds with 13 queries