HOME-Au
HOME-Au
24h
24h
USA
USA
GOP
GOP
Phim Bộ
Phim Bộ
Videoauto
VIDEO-Au
Home Classic
Home Classic
Donation
Donation
News Book
News Book
News 50
News 50
worldautoscroll
WORLD-Au
Breaking
Breaking
 

Go Back   VietBF > World Box| Thế Giới > World News|Tin Thế Giới > World News |Tin Thế Giới 2021-2023


 
 
Thread Tools
  #1  
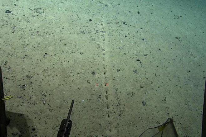
Old  Default Những hàng lỗ bí ẩn dưới đáy biển

Theo như có ý kiến cho rằng nó do "con người tạo ra", có ý kiến lại khẳng định chúng có thể là "dấu hiệu từ người ngoài trái đất". Số khác đặt câu hỏi: "Chúng có phải là dấu vết do tàu ngầm để lại không? Hay chúng có thể là lỗ thở của một sinh vật biển tự chôn sâu mình dưới cát?", sau khi các nhà thám hiểm Mỹ vừa phát hiện những hàng lỗ bí ẩn dưới đáy Đại Tây Dương.


Hơn chục lỗ bí ẩn như thể tạo thành đường kẻ, được phương tiện điều khiển từ xa phát hiện ở độ sâu 2,6 km tại khu vực Azores, gần đất liền của Bồ Đào Nha.

Các nhà khoa học trước đây cũng từng phát hiện những dấu vết tương tự nhưng hiện vẫn chưa thể lý giải những lỗ bí ẩn này là gì, do đâu mà có. Họ chỉ tạm gọi nó là "Lebensspuren", tiếng Đức có nghĩa "dấu vết sự sống" - ám chỉ có thể do các sinh vật sống tạo nên.

"Điều gì đã tạo ra những dấu vết đó dưới đáy đại dương? Nguồn gốc của nó đang khiến các nhà khoa học bối rối" - bài đăng trên Twitter và Facebook của dự án Thám hiểm Đại dương và Khí quyển Quốc gia Mỹ (NOAA) thừa nhận.

Hàng lỗ bí ẩn dưới đáy biển được phát hiện hôm 23-7. Ảnh: NOAA/New York Times

Thực tế, đã có dấu vết tương tự lần đầu được phát hiện dưới đáy biển cách đây khoảng 20 năm trước nhưng nhận định về nguồn gốc của nó đến nay còn rất nhiều ý kiến trái chiều.

Có ý kiến cho rằng nó do "con người tạo ra", có ý kiến lại khẳng định chúng có thể là "dấu hiệu từ người ngoài trái đất". Số khác đặt câu hỏi: "Chúng có phải là dấu vết do tàu ngầm để lại không? Hay chúng có thể là lỗ thở của một sinh vật biển tự chôn sâu mình dưới cát?".

Tiến sĩ Vecchione, chuyên gia của NOAA thừa nhận: "Có điều gì đó đang diễn ra nhưng chúng tôi chưa thể giải mã. Còn có rất nhiều bí ẩn về hàng lỗ dưới đáy biển mà chúng tôi mới vừa phát hiện ra ở Azores".

Phương tiện điều khiển từ xa của NOAA. Ảnhr: New York Times

Còn các nhà khoa học tại Viện Nghiên cứu Biển ở Na Uy nhận định: "Chúng đều do sinh vật biển tạo nên trong quá trình đi hoặc bơi trên lớp trầm tích. Cũng có thể do sinh vật biển đào hang dưới lớp cát và đâm lên tạo thành lỗ".

Dự kiến, ngày 7-8 tới, NOAA tiếp tục có chuyển thám hiểm thứ ba kể từ tháng 5-2022. "Chúng tôi hy vọng rằng sẽ sớm có câu trả lời về hàng lỗ bí ẩn dưới đáy biển này. Có thể, qua đây mở rộng hiểu biết của chúng ta về điều kiện có thể tồn tại ở các hành tinh khác" - các nhà khoa học của NOAA nói thêm.
VIETBF Diễn Đàn Hay Nhất Của Người Việt Nam

HOT NEWS 24h

HOT 3 Days

NEWS 3 Days

HOT 7 Days

NEWS 7 Days

HOME

Breaking News

VietOversea

World News

Business News

Car News

Computer News

Game News

USA News

Mobile News

Music News

Movies News

History

Thơ Ca

Sport News

Stranger Stories

Comedy Stories

Cooking Chat

Nice Pictures

Fashion

School

Travelling

Funny Videos

Canada Tin Hay

USA Tin Hay

VietBF Homepage Autoscroll

VietBF Video Autoscroll Portal

Home Classic

Home Classic Master Page



vuitoichat
R11 Tuyệt Thế Thiên Hạ
Release: 07-29-2022
Reputation: 370364


Profile:
Join Date: Jan 2008
Posts: 148,852
Last Update: None Rating: None
Attached Thumbnails
Click image for larger version

Name:	1.jpg
Views:	0
Size:	81.5 KB
ID:	2089791  
vuitoichat_is_offline
Thanks: 11
Thanked 14,096 Times in 11,257 Posts
Mentioned: 3 Post(s)
Tagged: 1 Thread(s)
Quoted: 44 Post(s)
Rep Power: 184
vuitoichat Reputation Uy Tín Level 10vuitoichat Reputation Uy Tín Level 10vuitoichat Reputation Uy Tín Level 10vuitoichat Reputation Uy Tín Level 10vuitoichat Reputation Uy Tín Level 10
vuitoichat Reputation Uy Tín Level 10vuitoichat Reputation Uy Tín Level 10vuitoichat Reputation Uy Tín Level 10vuitoichat Reputation Uy Tín Level 10
 
User Tag List


IKEA khai trương cửa hàng đầu tiên ở New Zealand: Người Kiwi xếp hàng từ tờ mờ sáng Nước Mỹ không dung dưỡng kẻ vô ơn: Tị nạn, di dân và cơn giận của Donald Trump Dư âm Giáng Sinh Sài Gòn xưa: Từ mùa sao sáng đến thánh ca buồn
Lê Duẩn – Mao Trạch Đông và cái giá “lá chắn phương Nam” của Việt Nam Trung Quốc hủy 540.000 vé sang Nhật: Đòn răn đe hay cú “tự bắn vào chân”? Trump xóa bỏ tiêu chuẩn nhiên liệu thời Biden
Mỹ đã hiểu sai tham vọng của Đảng Cộng sản Trung Quốc và đánh giá thấp sự quyết liệt tàn nhẫn của họ Tị nạn, thẻ xanh, visa du học cùng bị “khóa cửa” Khi bia Mexico gặp búa trừng phạt di trú của Trump: Cú ngã đau của đế chế Modelo – Corona
Biển số 37.77: Thông điệp ngầm của Thủ tướng Nhật Takaichi Sanae gửi Bắc Kinh Quốc tịch Mỹ: Tường thành gần như tuyệt đối cho người nhập tịch Con gái Hà Nội, giọt nước dưới mặt lá
Những tay giang hồ miền Nam: huyền thoại, bóng tối và cái giá phải trả Huỳnh Điều – “anh lớp Ba” mà Cộng sản sợ cái miệng hơn sợ khẩu M.79 Tiếng súng 9 giờ sáng ở Florida và hành trình cuối của nữ deputy Terri Sweeting-Mashkow
“Giang sơn” nào được sắp xếp, và sắp xếp cho ai? Sau 40 tuổi, khuôn mặt là “bản lý lịch” của tâm hồn Siêu biệt phủ trăm tỷ của Chủ tịch phường Hải Phòng: “Đại Lộc Thiên tử” giữa làng nghèo
Từ vụ sạc 24 giờ ở Mỹ đến chết yểu ở Ấn Độ: VinFast và câu hỏi dành cho người Việt Khi chú Hòa xây nhà bình dân: những kiệt tác âm thầm giữa lòng Sài Gòn Việt Nam – Xứ sở của những người bị bắt phải học nghề đói
Mailisa bị bắt và ký ức đôi vợ chồng ăn chay đi chùa Đi Hàn, đi Nhật rồi nhìn lại Việt Nam: yêu nước đâu chỉ nói trên môi Nepal – Đất nước sống ở năm 2082 giữa trái tim Himalaya
Nicholas Winton – Người hùng thầm lặng cứu 669 đứa trẻ khỏi bóng đen Đức Quốc Xã Bi kịch giáo sư Yoshihiro Sato: khi dữ liệu đẹp đổi lấy danh dự và cái chết Sự ngu dốt của bọn có học – từ Nguyễn Huy Thiệp đến thời những lời nói lật ngược sự thật

 
Lên đầu Xuống dưới Lên 3000px Xuống 3000px

iPad Videos Portal Autoscroll

VietBF Music Portal Autoscroll

iPad News Portal Autoscroll

VietBF Homepage Autoscroll

VietBF Video Autoscroll Portal

USA News Autoscroll Portall

VietBF WORLD Autoscroll Portal

Home Classic

Super Widescreen

iPad World Portal Autoscroll

iPad USA Portal Autoscroll

Phim Bộ Online

Tin nóng nhất 24h qua

Tin nóng nhất 3 ngày qua

Tin nóng nhất 7 ngày qua

Tin nóng nhất 30 ngày qua

Albums

Total Videos Online
Lên đầu Xuống dưới Lên 3000px Xuống 3000px

Tranh luận sôi nổi nhất 7 ngày qua

Tranh luận sôi nổi nhất 14 ngày qua

Tranh luận sôi nổi nhất 30 ngày qua

10.000 Tin mới nhất

Tin tức Hoa Kỳ

Tin tức Công nghệ
Lên đầu Xuống dưới Lên 3000px Xuống 3000px

Super News

School Cooking Traveling Portal

Enter Portal

Series Shows and Movies Online

Home Classic Master Page

Donation Ủng hộ $3 cho VietBF
Lên đầu Xuống dưới Lên 3000px Xuống 3000px
Diễn Đàn Người Việt Hải Ngoại. Tự do ngôn luận, an toàn và uy tín. Vì một tương lai tươi đẹp cho các thế hệ Việt Nam hãy ghé thăm chúng tôi, hãy tâm sự với chúng tôi mỗi ngày, mỗi giờ và mỗi giây phút có thể. VietBF.Com Xin cám ơn các bạn, chúc tất cả các bạn vui vẻ và gặp nhiều may mắn.
Welcome to Vietnamese American Community, Vietnamese European, Canadian, Australian Forum, Vietnamese Overseas Forum. Freedom of speech, safety and prestige. For a beautiful future for Vietnamese generations, please visit us, talk to us every day, every hour and every moment possible. VietBF.Com Thank you all and good luck.

Lên đầu Xuống dưới Lên 3000px Xuống 3000px

All times are GMT. The time now is 13:29.
VietBF - Vietnamese Best Forum Copyright ©2005 - 2025
User Alert System provided by Advanced User Tagging (Pro) - vBulletin Mods & Addons Copyright © 2025 DragonByte Technologies Ltd.
Log Out Unregistered

Page generated in 0.09350 seconds with 13 queries