HOME-Au
HOME-Au
24h
24h
USA
USA
GOP
GOP
Phim Bộ
Phim Bộ
Videoauto
VIDEO-Au
Home Classic
Home Classic
Donation
Donation
News Book
News Book
News 50
News 50
worldautoscroll
WORLD-Au
Breaking
Breaking
 

Go Back   VietBF > World Box| Thế Giới > World News|Tin Thế Giới


Reply
 
Thread Tools
  #1  
Old  Default Ragasa trở thành siêu bão mạnh nhất thế giới năm 2025
Với sức gió duy trì tới 270 km/h, Ragasa chính thức trở thành cơn bão mạnh nhất Trái Đất kể từ đầu năm nay.


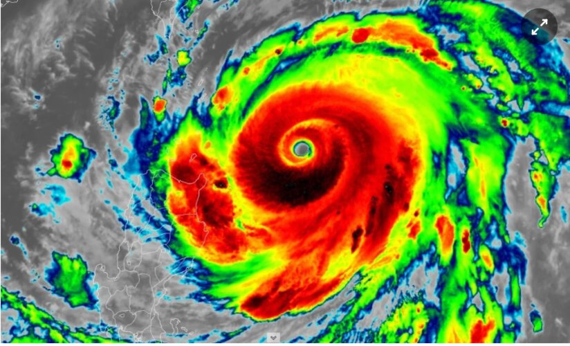
Siêu bão Ragasa đã lập cột mốc mới khi duy trì sức gió tới 270 km/h trong thời gian ngắn, trở thành cơn bão mạnh nhất hành tinh tính đến năm 2025. Ảnh: Weather Network.
Ngày 21/9, sức gió mạnh nhất vùng gần tâm bão Ragasa đã lên tới 270 km/h với tâm bão nằm ở phía đông bắc Manila, Philippines.

Điều này chính thức xếp Ragasa vào cấp 5 - mức cao nhất trên thang Saffir-Simpson.

Hiện bão đang kèm theo sóng cao 11-12 m, tạo nên cảnh báo khẩn cấp cho nhiều khu vực.

Ảnh vệ tinh cho thấy mắt bão nhỏ, rõ nét với các dải mây đối xứng - đặc trưng của siêu bão cực mạnh.

Theo Weather Network, Ragasa đạt cường độ hiếm có nhờ ba yếu tố: không bị đứt gió phá vỡ cấu trúc, nhiệt độ mặt biển khoảng 30 độ C cung cấp năng lượng dồi dào, và hệ thống thoát khí hoạt động hiệu quả, khiến bão duy trì đối xứng hoàn hảo.

Các dự báo cho biết Ragasa sẽ giữ sức gió gần cực đại trong vài giờ tới trước khi suy yếu dần khi quét qua Philippines rồi tiến vào Biển Đông. Giới chức Philippines và Đài Loan (Trung Quốc) đã phát lệnh sơ tán khẩn cấp tại các khu vực có nguy cơ cao.

Siêu bão Ragasa càn quét Philippines Sáng 22/9, sức tàn phá của siêu bão Ragasa đã bắt đầu bao trùm tỉnh Cagayan (Philippines) và sẽ quét qua hoặc áp sát quần đảo Babuyan từ trưa đến chiều nay. Hiện cảnh báo bão cấp 5 đã được nâng lên tại phía bắc quần đảo Babuyan, trong khi một số khu vực thuộc Batanes và Cagayan chịu cảnh báo cấp 4.
Chuyên gia thời tiết Philippines John Grender Almario cảnh báo phía bắc đảo Luzon có thể hứng “lũ lụt nghiêm trọng và sạt lở đất”, với tác động mạnh nhất dự kiến vào sáng 22/9. Nhiều nơi khác trên đảo cũng có thể gió mạnh, mưa lớn, song Manila được dự báo ít chịu ảnh hưởng trực tiếp.

Philippines - quốc gia nằm trên lộ trình bão Thái Bình Dương - mỗi năm trung bình hứng 20 trận bão và siêu bão, khiến hàng triệu người dân sống trong vùng rủi ro thiên tai thường xuyên đối mặt khó khăn.

Các nhà khoa học cảnh báo bão đang có xu hướng dữ dội hơn khi Trái Đất ấm lên vì biến đổi khí hậu do con người gây ra.

Cùng ngày, Đài Thiên văn Hong Kong (Trung Quốc) dự báo thời tiết tại đặc khu này sẽ “xấu dần” trong hai ngày 23-24/9 với gió bão mạnh và mực nước biển dâng cao, tương tự như tình huống của siêu bão Mangkhut năm 2018.

VietBF@ sưu tập
VIETBF Diễn Đàn Hay Nhất Của Người Việt Nam

HOT NEWS 24h

HOT 3 Days

NEWS 3 Days

HOT 7 Days

NEWS 7 Days

HOME

Breaking News

VietOversea

World News

Business News

Car News

Computer News

Game News

USA News

Mobile News

Music News

Movies News

History

Thơ Ca

Sport News

Stranger Stories

Comedy Stories

Cooking Chat

Nice Pictures

Fashion

School

Travelling

Funny Videos

Canada Tin Hay

USA Tin Hay

10.000 Tin mới nhất

Tin nóng nhất 24h qua

Super News

Tin tức Hoa Kỳ


PinaColada
R11 Tuyệt Thế Thiên Hạ
Release: 2 Weeks Ago
Reputation: 136903


Profile:
Join Date: Oct 2013
Posts: 117,171
Last Update: None Rating: None
Attached Thumbnails
Click image for larger version

Name:	141.jpg
Views:	0
Size:	102.9 KB
ID:	2574348  
PinaColada_is_offline
Thanks: 9
Thanked 7,830 Times in 6,960 Posts
Mentioned: 2 Post(s)
Tagged: 0 Thread(s)
Quoted: 23 Post(s)
Rep Power: 135
PinaColada Reputation Uy Tín Level 9PinaColada Reputation Uy Tín Level 9PinaColada Reputation Uy Tín Level 9PinaColada Reputation Uy Tín Level 9PinaColada Reputation Uy Tín Level 9
PinaColada Reputation Uy Tín Level 9PinaColada Reputation Uy Tín Level 9PinaColada Reputation Uy Tín Level 9PinaColada Reputation Uy Tín Level 9PinaColada Reputation Uy Tín Level 9PinaColada Reputation Uy Tín Level 9PinaColada Reputation Uy Tín Level 9PinaColada Reputation Uy Tín Level 9PinaColada Reputation Uy Tín Level 9PinaColada Reputation Uy Tín Level 9PinaColada Reputation Uy Tín Level 9PinaColada Reputation Uy Tín Level 9PinaColada Reputation Uy Tín Level 9PinaColada Reputation Uy Tín Level 9PinaColada Reputation Uy Tín Level 9PinaColada Reputation Uy Tín Level 9PinaColada Reputation Uy Tín Level 9PinaColada Reputation Uy Tín Level 9PinaColada Reputation Uy Tín Level 9PinaColada Reputation Uy Tín Level 9PinaColada Reputation Uy Tín Level 9
Reply

User Tag List



 
Lên đầu Xuống dưới Lên 3000px Xuống 3000px

VietBF Homepage Autoscroll

VietBF Video Autoscroll Portal

USA News Autoscroll Portall

VietBF WORLD Autoscroll Portal

Home Classic

Super Widescreen

Tin nóng nhất 24h qua

Tin nóng nhất 3 ngày qua

Tin nóng nhất 7 ngày qua

Tin nóng nhất 30 ngày qua

Albums

Total Videos Online
Lên đầu Xuống dưới Lên 3000px Xuống 3000px

Tranh luận sôi nổi nhất 7 ngày qua

Tranh luận sôi nổi nhất 14 ngày qua

Tranh luận sôi nổi nhất 30 ngày qua

10.000 Tin mới nhất

Tin tức Hoa Kỳ

Tin tức Công nghệ
Lên đầu Xuống dưới Lên 3000px Xuống 3000px

Super News

School Cooking Traveling Portal

Enter Portal

Series Shows and Movies Online

SERIES ONLINE 1

Donation Ủng hộ $3 cho VietBF
Lên đầu Xuống dưới Lên 3000px Xuống 3000px
Diễn Đàn Người Việt Hải Ngoại. Tự do ngôn luận, an toàn và uy tín. Vì một tương lai tươi đẹp cho các thế hệ Việt Nam hãy ghé thăm chúng tôi, hãy tâm sự với chúng tôi mỗi ngày, mỗi giờ và mỗi giây phút có thể. VietBF.Com Xin cám ơn các bạn, chúc tất cả các bạn vui vẻ và gặp nhiều may mắn.
Welcome to Vietnamese American Community, Vietnamese European, Canadian, Australian Forum, Vietnamese Overseas Forum. Freedom of speech, safety and prestige. For a beautiful future for Vietnamese generations, please visit us, talk to us every day, every hour and every moment possible. VietBF.Com Thank you all and good luck.

Lên đầu Xuống dưới Lên 3000px Xuống 3000px

All times are GMT. The time now is 20:45.
VietBF - Vietnamese Best Forum Copyright ©2005 - 2025
User Alert System provided by Advanced User Tagging (Pro) - vBulletin Mods & Addons Copyright © 2025 DragonByte Technologies Ltd.
Log Out Unregistered

Page generated in 0.12189 seconds with 13 queries